L30.4 Old Gale Hill Road, New Lebanon NY 12125 (只供參考)

出售, USD 290,000


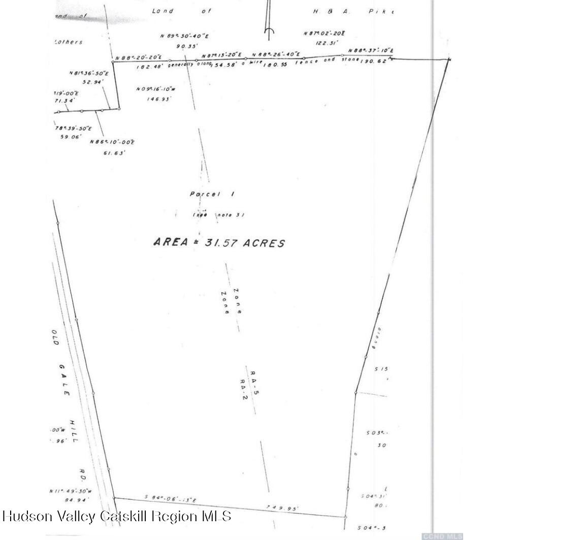
L30.4 Old Gale Hill Road, New Lebanon NY 12125,

樓盤類型 : 地皮

樓盤設計 : N/A

建築面積 : N/A

佔地面積 : N/A

睡房 : 0

浴室 : 0

浴室(企缸) : 0

MLS#: N/A


樓盤簡介

31.5 Acres on Old Gale Hill Road, New Lebanon, NY Discover the perfect blend of peace, privacy, and possibility on this 31.5 acre wooded parcel in the heart of Columbia County. Tucked away on a quiet country road, this exceptional property offers a serene setting ideal for building your dream home, enjoying weekend getaways, or exploring recreational and hunting opportunities. A portion of the land may offer distant views of surrounding mountains and open fields, adding to the property's charm and potential. Located just minutes from the Hand Hollow Conservation Area outdoor enthusiasts will find endless options to connect with nature. All of this, yet conveniently located near the cultural and recreational amenities of the Berkshires,
更多
位於美國,紐約,新穆巴嫩“L30.4 Old Gale Hill Road, New Lebanon NY 12125”是一處新穆巴嫩出售地皮,USD 290,000。這個高端的新穆巴嫩地皮共包括0間臥室和0間浴室。你也可以尋找更多新穆巴嫩的豪宅、或是搜索新穆巴嫩的出售豪宅